Bouwgrond voor open bebouwing in rustige straat nabij centrum Zellik te koop.
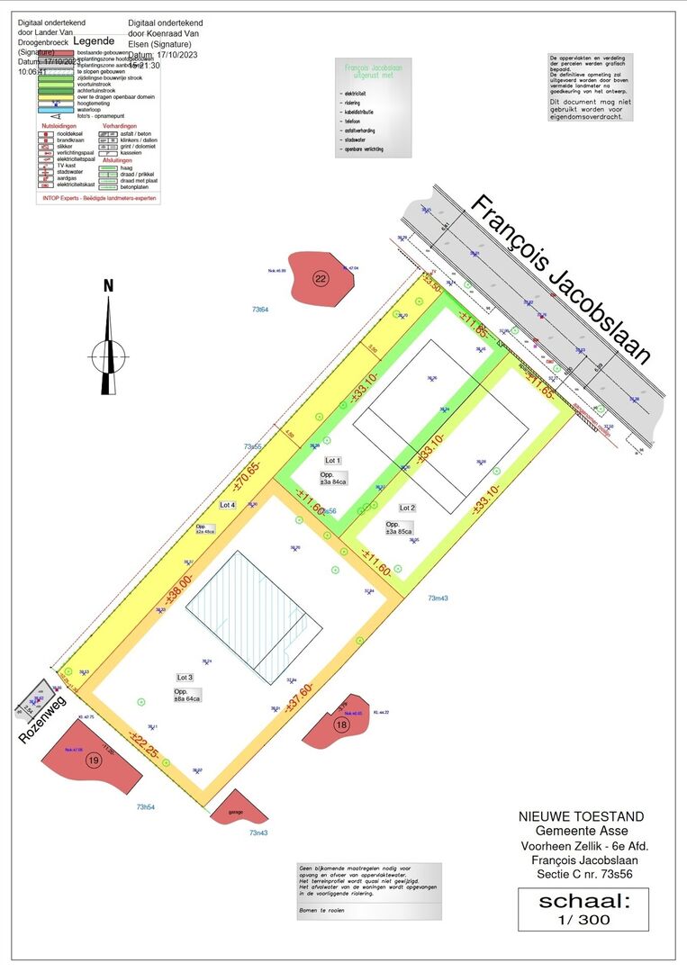
Het betreft een perceel van 8a 64ca met een breedte van 38m. (bouwgrond aangeduid in het oranje op plan)
Gelegen in verkaveling met volgende voorschriften:
De bouwdiepte bedraagt maximaal 15.00m op het gelijkvloers en 12.00m op de verdieping voor het hoofdgebouw. De bebouwing wordt ingeplant op 3.00m achter de nieuwe rooilijn.
De kroonlijsthoogte bedraagt 5.00 (+/-1.00)m. Wanneer er met een plat dak wordt gewerkt is de kroonlijsthoogte max. 6.50m. De aanbouw heeft een maximale hoogte van 3.50m
De helling der dakvlakken ligt tussen 25° en 40°. Platte daken zijn eveneens toegelaten. De dakvorm is vrij te kiezen binnen het minimale en maximale bouwvolume.
Wenst u meer informatie via telefoon of op kantoor? Contacteer ons via info@structura of 02/460 80 46.
Het betreft een perceel van 8a 64ca met een breedte van 38m. (bouwgrond aangeduid in het oranje op plan)
Gelegen in verkaveling met volgende voorschriften:
De bouwdiepte bedraagt maximaal 15.00m op het gelijkvloers en 12.00m op de verdieping voor het hoofdgebouw. De bebouwing wordt ingeplant op 3.00m achter de nieuwe rooilijn.
De kroonlijsthoogte bedraagt 5.00 (+/-1.00)m. Wanneer er met een plat dak wordt gewerkt is de kroonlijsthoogte max. 6.50m. De aanbouw heeft een maximale hoogte van 3.50m
De helling der dakvlakken ligt tussen 25° en 40°. Platte daken zijn eveneens toegelaten. De dakvorm is vrij te kiezen binnen het minimale en maximale bouwvolume.
Wenst u meer informatie via telefoon of op kantoor? Contacteer ons via info@structura of 02/460 80 46.
financieel
- Prijs
- € 345.000
- Beschikbaarheid
- Vanaf akte
ligging
- Omgeving school
- 1.225 m
gebouw
- Type bebouwing
- Open
- Gevelbreedte
- 10,00 m
terrein
- Perceel oppervlakte
- 864 m²
- Terreinbreedte
- 38 m
- Terreindiepte
- 22 m
- Tuin
- Ja
downloads
stedenbouwkundige informatie
- Bestemming
- Woongebied
- Bouwvergunning
- Nog niet aangevraagd
- Verkavelingsvergunning
- Ja
- Voorkooprecht
- Ja
- Vonnissen
- Nee
- As-builtattest
- Nee
- G-score
- A
- P-score
- A