Bouwgrond voor halfopen bebouwing te koop op absolute voorkeursligging in het idyllische Mollem!
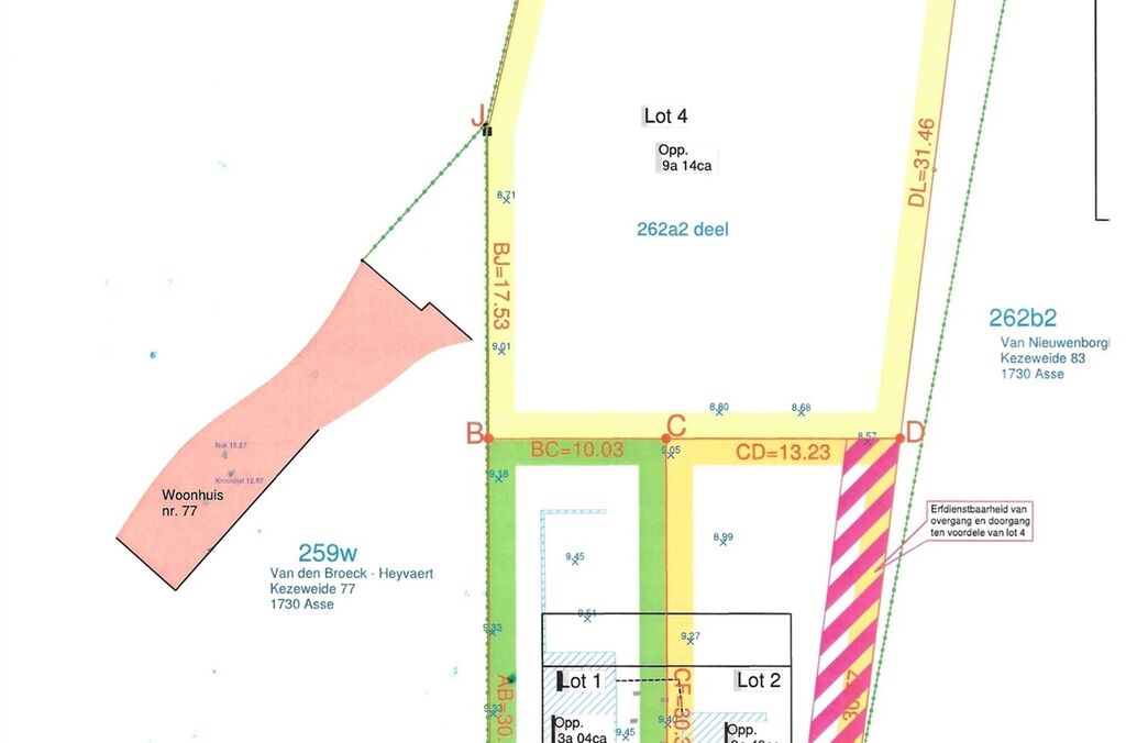
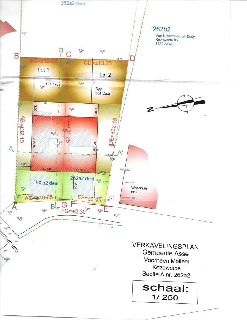
Het betreft een perceel van 3a 04ca met een breedte van 10.03m. (bouwgrond lot 1 aangeduid in het groen op plan)
Gelegen in verkaveling met volgende voorschriften:
De bouwdiepte bedraagt maximaal 15.00m op het gelijkvloers en 12.00m op de verdieping voor het hoofdgebouw. De woning moet worden ingeplant op 6.00m achter de rooilijn.
De kroonlijsthoogte bedraagt 5.00 (+/-1.00)m. De aanbouw heeft een maximale hoogte van 3.00m
De helling der dakvlakken ligt tussen 25° en 45°. Platte daken zijn eveneens toegelaten. De dakvorm is vrij te kiezen binnen het minimale en maximale bouwvolume.
Belangrijke kenmerken:
- Geen bouwverplichting – bouw op eigen tempo
- Geschikt voor een halfopen bebouwing
- Zuidoostelijke oriëntatie achteraan
- De bouwgrond ligt op 5 minuten wandelafstand van het treinstation (15’ van Jette, 30' van Brussel centrum!)
- Rustige omgeving (geen snelweg, vliegtuigen…) en natuur (bos, wandelwegen,...) in de nabijheid.
Maatregelen opgenomen in het Maatregelenregister: nee.
Wenst u meer informatie via telefoon of op kantoor? Contacteer ons via info@structura.be of 02/460 80 46.
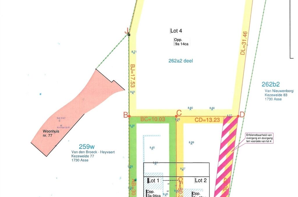
Het betreft een perceel van 3a 04ca met een breedte van 10.03m. (bouwgrond lot 1 aangeduid in het groen op plan)
Gelegen in verkaveling met volgende voorschriften:
De bouwdiepte bedraagt maximaal 15.00m op het gelijkvloers en 12.00m op de verdieping voor het hoofdgebouw. De woning moet worden ingeplant op 6.00m achter de rooilijn.
De kroonlijsthoogte bedraagt 5.00 (+/-1.00)m. De aanbouw heeft een maximale hoogte van 3.00m
De helling der dakvlakken ligt tussen 25° en 45°. Platte daken zijn eveneens toegelaten. De dakvorm is vrij te kiezen binnen het minimale en maximale bouwvolume.
Belangrijke kenmerken:
- Geen bouwverplichting – bouw op eigen tempo
- Geschikt voor een halfopen bebouwing
- Zuidoostelijke oriëntatie achteraan
- De bouwgrond ligt op 5 minuten wandelafstand van het treinstation (15’ van Jette, 30' van Brussel centrum!)
- Rustige omgeving (geen snelweg, vliegtuigen…) en natuur (bos, wandelwegen,...) in de nabijheid.
Maatregelen opgenomen in het Maatregelenregister: nee.
Wenst u meer informatie via telefoon of op kantoor? Contacteer ons via info@structura.be of 02/460 80 46.
financieel
- Prijs
- € 150.000
- Beschikbaarheid
- Vanaf akte
- Kadastraal inkomen
- € 2
ligging
- Omgeving school
- 731 m
gebouw
- Type bebouwing
- Halfopen
- Gevelbreedte
- 7,00 m
terrein
- Perceel oppervlakte
- 304 m²
- Terreinbreedte
- 10 m
- Terreindiepte
- 30 m
stedenbouwkundige informatie
- Bestemming
- Woongebied met landelijk karakter
- Bouwvergunning
- Nog niet aangevraagd
- Verkavelingsvergunning
- Ja
- Voorkooprecht
- Ja
- Vonnissen
- Nee
- As-builtattest
- Nee
- G-score
- A
- P-score
- B
- Datum bodemattest
- 29 mei 2025