Emplacement exterieur

€ 8.500


Mandsteenweg 18, 1785 MERCHTEM
Prendre rendez-vous contactez-nous
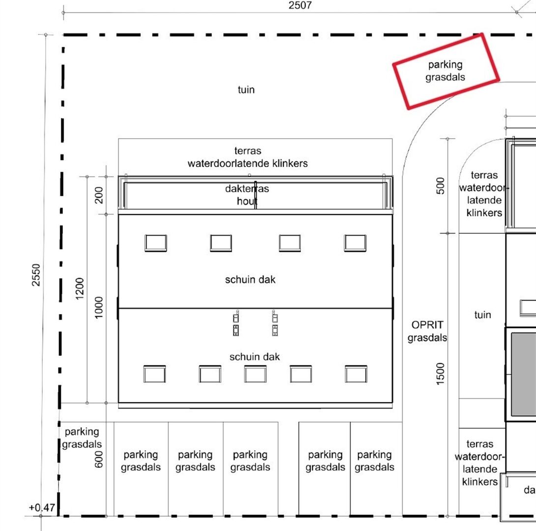
Place de parking à vendre dans la résidence Camille au centre de Merchtem.
Plus d'informations ou une visite du site ? Contactez-nous au 02 460 80 46 ou à l'adresse info@structura.be.

finances

Prix
€ 8.500
Disponibilité
A l'acte

garage

Parking extérieur
1

information sur l'urbanisme

Destination
Zone d'habitat
Permis de construire
Oui
Permis de lotissement
Non
Droit de préemption
Oui
Verdicts
Non
Inventaire as built
Non
G-score
C
P-score
C

Questions?

votre contact

Foto

Hannelore Steppe

02 460 80 46

Vous devez entrer votre prénom
Vous devez entrer votre nom
Vous devez entrer votre téléphone
Vous devez entrer votre e-mail
Vous devez entrer votre message
Vous devez accepter nos termes et conditions